
ども!オルカです^^
本日はリピーター様とケラマ方面でファンダイビングです!
沖縄 ダイビングスポット情報
沖縄 ケラマ諸島:アリガーケーブル(渡嘉敷島) ー 唐馬No.2(座間味島) ー アリガー南(渡嘉敷島)
気温:22℃ 水温:23.2℃ 風向:東
気温:22℃ 水温:23.2℃ 風向:東
年末にも遊びに来てくれたお客様が新年も遊びに来てくれました♪
ご友人とご参加の予定でしたが体調不良で参加できず、マンツーマンでファンダイビングです^^
今日の一発目はモンハナシャコ

ド派手なカラーリングです❀.(*´▽`*)❀.
シャコの攻撃はパンチ!
爪が割れるほど強いので手を出さない様に気をつけてくださいね
唐馬ではクロオビアトヒキテンジクダイ

目の青い縦線とエラに沿った赤い横線がチャームポイント
今日は派手なカラーリングな子が多いですね

ホバーリング中のお客様!
バシッと決めてくれました😍
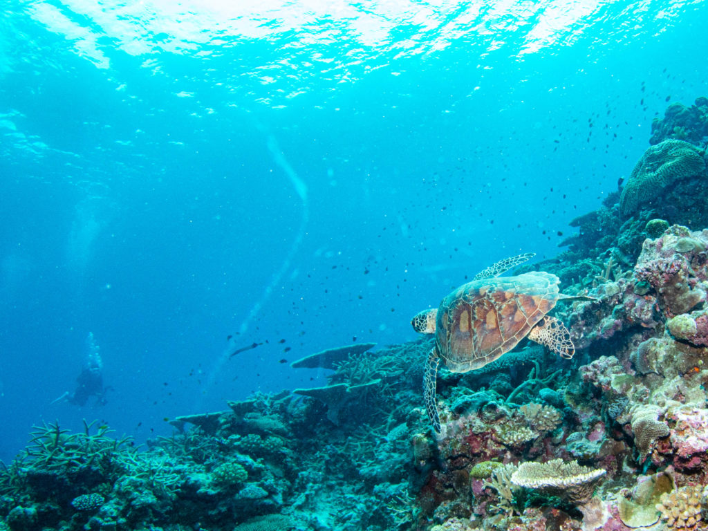
3ダイビング目はお客様リクエストでドリフトダイビング

アリガー南のドリフトダイビングはウミガメ祭り✨

今日は5匹のウミガメ様と出会えました!
シグナルフロートを上げて安全停止中には2mオーバーのマダラトビエイ!
なぜこのタイミング・・・
写真はもちろん撮れてません!😅
でも、見れただけで満足w
本日もご利用ありがとうざいました♪
月末またお待ちしております✨
Diving Shop Re:Orca
Ryo
 
							
											









 
                         
                         
                         
                        

 
                  
                                    
                  
                                    
                  
                                    
                  
                                    
                  
                                    
                  
                                    
                  
                                    
                  
                                    
                  
                                    
                  
                                   




 
                  
                                    
                  
                                    
                  
                                    
                  
                                    
                  
                                   